?

Vous êtes

Espace
emploi

Bâtiment d'activité ou de stockage de 1 700 m² à GORRON

Accueil > Entreprendre > Bâtiment d'activité ou de stockage de 1 700 m² à GORRON

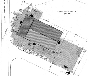
Situé à Gorron, au cœur de la Zone d’Activités des Sapinettes (20 entreprises 700 emplois) et le long de la rocade, ce bâtiment élevé en charpente bois, murs parpaings et bardage métallique offre une surface de production ou de stockage de 1 500 m² plus un espace tertiaire de 200 m² composé de 4 bureaux, 1 salle de réunion, hall d’entrée et sanitaires. La partie production, entièrement sur dalle béton, est desservie par 2 grandes portes (4x6 et 4x4 mètres) et dispose d’une hauteur de 6 à 9 mètres.

L’ensemble est implanté sur un grand terrain de 9 475 m² offrant de larges voies d’accès et parkings, ainsi que des possibilités d’extension.